Blog
-
Oak Haven Massage Expands in Austin With New South First Studio
Feb 2, 2026
Oak Haven Massage is now open on South First, offering expert therapeutic massage focused on pain relief, recovery, and feeling your best—when you need it most.
-
Why Supporting Working Parents Is Good for Business
Jan 29, 2026
As Central Texas continues to grow, so does the demand for workplaces that understand the realities of modern families. Businesses that invest in family-friendly policies—such as paid parental leave, flexible scheduling, childcare support, and comprehensive healthcare—see measurable gains in employee retention, recruitment, and overall workplace culture.
-
Inside Our Annual Meeting: The Moments That Defined the Year
Jan 29, 2026
On January 23rd, we celebrated our members and mission at our Annual Meeting. Read about all the best moments and watch our Austinite of the Year video in our latest blog story.
-
Runway to Opportunities
Jan 14, 2026
Austin-Bergstrom International Airport (AUS) invites construction to participate in Runway to Opportunities, a focused networking and information session connected to the Journey With AUS airport expansion program.
-
Clinical research at Austin Regional Clinic opens doors for new treatments
Jan 14, 2026
Austin Regional Clinic (ARC) has supported over 50 clinical trials since 2016, through the ARC Clinical Research program.
-
Nature’s Treasures Shines as Austin Grows
Jan 9, 2026
As Austin continues to grow, so do the local businesses that make it special. Learn how Nature’s Treasures evolved from a hidden gem into a Central Texas icon—celebrating 25 years with a bold new home and a renewed commitment to nature, sustainability, and community.
-
Austin Airport and Airlines Finalize Agreements to Advance Expansion
Jan 7, 2026
Austin-Bergstrom International Airport (AUS) and its airline and cargo partners have finalized new multi-year Airline Use and Lease Agreements and Signatory Cargo Agreements, establishing the financial and operational framework that will guide airport growth over the next decade.
-
Shadow AI: The hidden productivity risk businesses can’t ignore
Jan 6, 2026
Shadow AI, or unauthorized use of AI outside company-approved tools, is on the rise as employees seek faster workflows. Companies must act now to balance productivity with governance and security.
-
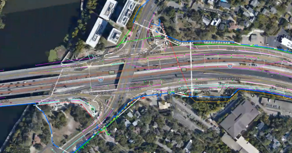
How Austin’s Infrastructure Overhaul Is Redefining Downtown and Setting a Model for Other Growing Cities
Dec 23, 2025
If there’s one thing guaranteed to spark spirited conversation in Texas, it’s construction along I-35. The highway stretches from Laredo to Minnesota, but it’s the Texas portion, especially the part that slices through Austin, that feels perpetually under construction.
-
Terri Bolin Retires from the Greater Austin Chamber of Commerce after 37 Years!
Dec 18, 2025
Known for her warmth, professionalism, and unwavering dedication, Terri is retiring after 37 years of dedication to the Greater Austin Chamber of Commerce
-
GarzaEMC Partners with Salvation Army for the Holidays
Dec 17, 2025
For many years, GarzaEMC has proudly teamed with the Salvation Army to support families through a variety of events, including the annual Toy Drive and Distribution and Back-to-School Field Day and Shoe Donation.
-
Ryan Arens, JD named Chief Strategy Officer and General Counsel of ARC
Dec 17, 2025
Austin Regional Clinic (ARC) is happy to announce that Ryan Arens, JD, has been named Chief Strategy Officer (CSO) and General Counsel.